2005年9月11日(日) 小潮 16:00〜18:00
茅ケ崎 柳島

ダツ
オフショア後はショアの柳島メッキでございます。

下船後は一旦帰宅する。

メッキに行こうと思うと雨が降ってきたので

しばらく様子を見ているうちに雨も止んだので

柳島へ出発。(チャリ5分)
現着しメッキ大王と合流。

先ほどの雨でメッキアングラーが激減したとのこと。

実釣開始すると直ぐに結果がでる。

やはり居たかって感じです。

1匹目はダツ
2匹目以降はギンガメッキ
メッキ
メッキ Dコンタクトでガンガン攻めると

結果がすぐに出ます。

前回同様にスーパーシャローにて発見する。
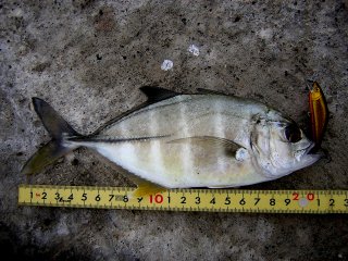
本日最大魚のギンガメッキ。(21cm)

            柳島メッキは育ちも良さそうです。→



Dコンタクトが絶好調でございました。
メッキ
メッキ そんな中でメッキ大王大苦戦。

理由はすぐにわかりましたが今日のところは

どうすることも出来ず・・・。


メッキ通の方であれば何故苦戦したかが
←の画像でかわります。

暗くなりまた雨も降ってきたので終了。
只今の柳島メッキのキーワードは

「スーパーシャロー」でございます。

これが続けば楽なんですけど・・・。


メッキの後は投票所へGO!!したことは

言うまでもありませんね。
メッキ
Dコンタクト ルアー



D−コンタクト(スミス)
各色



本日最強--->Dコンタクト(アカキン)
タックル


ROD:パームス サーフスター SGP-66SL

Reel:シマノ 98ステラ2500

LINE:DUEL X-Wire カーボンナイトブラック 14LB
タックル


釣行記2005へ戻